Crow Wing County
01. Environmental Services 10. E-911 Address App. # 21355, UID # 67400
App. Status: ApprovedCrow Wing County
322 Laurel St. Ste 15
Brainerd, MN 56401
App. Status: ApprovedCrow Wing County
322 Laurel St. Ste 15
Brainerd, MN 56401
Applicant & Property Information
| : |
|
||||||||||||||||||||||||||||||||
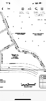
| Please attach site plan: |
|
||||||||||||||||||||||||||||||||
| Property Owner Information: |
|
||||||||||||||||||||||||||||||||
| Are requesting a new E911 address or sign/post replacement: |
New E911 Address | ||||||||||||||||||||||||||||||||
Invoice #39893 (01/07/2024)
| Charge | Cost | Quantity | Total |
|---|---|---|---|
| added 01/07/2024 11:25 AM | $100.00 | x 1 | $100.00 |
| Grand Total | |||
| Total | $100.00 | ||
| Payment 01/07/2024 | $100.00 | ||
| Due | $0.00 | ||
Action: Print
Approvals
| Approval | Signature | Options |
|---|---|---|
| Applicant | Brian P. Johnson - 01/07/2024 11:25 AM 87fb719fd68e27fb82f72bd0cdd96f5a ae8f7e4319f3ece08db622b587af57ac | |
| #1 GIS Specialist Reviewed & Assigned | Maggie Young - 01/17/2024 8:09 AM 866df256824699fc1a3fed0dd0b7996f 0f39a1ac91dff006ee216acfef97e6f1 | |
| #2 Blade Created | Tom Strack - 03/20/2024 11:45 AM 64ca618bf95a59007ea24da3cec2c402 53e4ac1a4c76d79b752391419e8cee62 | |
| #3 Flagged for Locate | Tom Strack - 04/24/2024 7:55 AM 15dd46c5b7e201202c3e879e87f435f9 e1bcf0d15f85978b083b60a1df7fb664 | |
| #4 Installing | Tom Strack - 04/24/2024 7:55 AM 94ab003cf5ccf659b8d1306675035ab5 5b387634f13fd721462d9fd964e1d003 | |
| #5 Sign Installed | Tom Strack - 04/24/2024 7:55 AM 816cf3e5502cb471a096554549cfc0a4 4853365f2cda6a5e2a04a51f7499e895 |
Application has been approved. All signatures have been obtained.
| Text: | 35884 Silver Sands Rd Pequot Lakes MN 56472 Jenkins Twp |
| File(s): |
|
[
]
[ Search Result Limit:
35884_Silver_Sands_Rd.pdf